United Kingdom
View
Thumbnails
Images
List
Tree
Protected species
Latin names
Vernacular names
Change country
Tools
Search
Compare
Species
Preparations
UTM map
Lunar calendar
EntomoLabels
Home page
Export species list
Export family list
European Moth Nights
Records
Upload
Galleries
Species
Preparations
Users
For identification
Website
Update List
Milestones
Literature
Links
Security
Privacy
Citation
Statistics
Settings
Team
Author
Contributors
Translators
Contact
User
Login
Sign
English
Français
Polski
Slovenčina
Galleries
Species
Cleora cinctaria
Galleries:
Cleora cinctaria
(Denis & Schiffermüller, 1775)
All
Adult
Caterpillar
Adult, upperside.
Jarosław BURY
Male, upperside.
Adam LARYSZ
Adult, upperside.
Maciej MATRAJ
Adult, upperside.
Marian PAŁCZYŃSKI
Larva.
Jarosław BURY
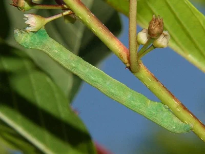
Larva.
Jacek DROZDALSKI